The Great Carp Hunt of 2025 results: ULA’s inaugural fishing tournament harvests 20k pounds of carp, will continue in 2026
- Anglers measure the size of a fish at the Great Carp Hunt of 2025 at Utah Lake in an undated photo.
- Team BPS, winners of The Great Carp Hunt of 2025, and Utah Lake Authority Director Sam Braegger, right, pose with a check in an undated photo.
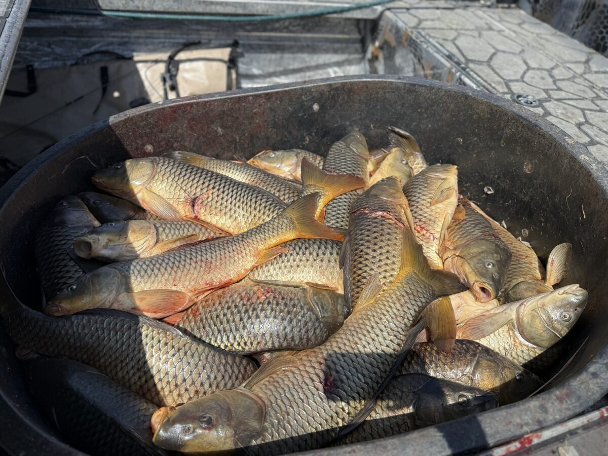
- Carp harvested from Utah Lake is pictured in an undated photo.
The Utah Lake Authority considered its inaugural Great Carp Hunt a success, as anglers and bow hunters removed 20,407 pounds of invasive carp during 10 fishing events in 2025.
The monthly tournaments called on citizens to launch their fishing boats and attack the lake’s carp issue themselves, incentivized by cash prizes for the most fish caught.
Monthly winners received $1,000, and a $10,000 prize for the most carp caught in the year went to “Team BPS,” a bow hunting team that caught 1,406 fish, according to Utah Lake Authority spokesperson Kelly Cannon-O’Day.
“We were just kind of like seeing if there’s a proof of concept here, and we were incredibly pleased with not only the result of all the pounds of carp removed, but also the amount of people who participated,” Cannon-O’Day said.
Seeing hundreds of people participate and spread awareness about how the carp negatively impacts the lake’s ecosystem has the ULA committed to continue the tournament in 2026. However, the agency will seek to fine-tune the formatting of it.
Cannon-O’Day said the ULA identified the dates that collected the most carp were in the spring and early summer, during carp-spawning season, and will heavily target those dates next year.
Instead of monthly tournaments throughout the year, the agency will host six tournaments every other week during the spring to early summer. The full schedule will be released next year.
“We’re just really trying to zero in on the time when we produce the most carp,” Cannon-O’Day said. “That way, if we have a tournament every other Saturday during that season, we’re going to be removing a lot more carp.”
ULA is also seeking a sponsor for next year’s event to provide cash prizes so the government entity can keep its costs down.
“We were able to do this event within our budget, but we want to be good stewards of the money that is given to us by the state Legislature,” Cannon-O’Day said.
Carp are an invasive species in Utah Lake that threaten other species and increase algal blooms by eating all the vegetation at the lake’s bottom.
The fight against the species began in 2009, and more than 35 million pounds of carp has been removed since, primarily through commercial netting. The estimated current population of carp is between 50-75% of the original figure, according to the ULA.
Recently, alternative ways to harvest the fish were implemented. Last year, the Utah Division of Wildlife Resources began using box traps to catch carp. Cannon-O’Day said box traps caught 78,00 pounds of fish this year.
“I don’t think any idea is off the table. It’s a matter of, how can we do it?” Cannon-O’Day said. “We want the most effective means, but we also want it to be cost effective, because Utah Lake is so large. There are really effective ways of removing carp, but they are meant for lakes and ponds that are a lot smaller than Utah Lake. And so when you scale up to the size of Utah Lake, things get expensive really fast.”








